Samar B.

5.5K posts

Samar B. banner
Samar B.

Samar B.

@samar

I build stuff.

San Francisco, CA انضم Şubat 2011
1.1K يتبع3.4K المتابعون
Samar B. أُعيد تغريده
StockMarket.News
StockMarket.News@_Investinq·
The CEO of the most advanced AI company in America just went on national television (Save this) Hours after his company was blacklisted by the US government. Here's what he said. Dario Amodei built the only AI deployed inside the Pentagon's classified networks. His company helped run military operations, intelligence, cyber defense. Then the government told him to drop all safety limits. He said no to two things. Just two. "One is domestic mass surveillance." He explained: the government can already buy your location data, your browsing history, your political affiliations from private companies. AI makes it possible to analyze all of it. On every American, all at once. "That actually isn't illegal. It was just never useful before the era of AI." "Case number two is fully autonomous weapons." Not the drones used in Ukraine and the remote-controlled systems. Weapons that select targets and fire without a single human pressing a button. "The AI systems of today are nowhere near reliable enough." "We don't want to sell something that could get our own people killed or that could get innocent people killed." He approved 98% of what the Pentagon wanted. "No one on the ground has actually run into the limits of any of these exceptions." The government wasn't fighting over something it needed. It was fighting over the right to have no limits at all. They gave him three days. He said no. So the President called his company "radical left woke." Then ordered every federal agency to stop using their technology. Then the Pentagon labeled them a national security risk. A designation that has only ever been used against foreign enemies. When asked if he'd received any formal legal action, he said this: "All we've seen are tweets from the president and tweets from Secretary Hegseth." No letter, filing or a legal document. "When we receive some kind of formal action, we will look at it, we will understand it, and we will challenge it in court." He said the Defense Secretary lied about the law. Hegseth tweeted that any company with military contracts can't do business with Anthropic "at all." Amodei: "That is not what the law said." "The nature of the tweet was designed to create fear, uncertainty, and doubt." Asked if this was an abuse of power, he paused. Then said: "This designation has never happened before with an American company." "It was made very clear that this was retaliatory and punitive." "I don't know what else to call it." Asked if Anthropic could survive, he didn't hesitate. "Not only survive it. We're gonna be fine." Then the final question. "If you had a moment with the President right now tonight, what would you say to him?" "We are patriotic Americans." "Everything we have done has been for the sake of this country." "The red lines we have drawn, we drew because we believe that crossing those red lines is contrary to American values." "Disagreeing with the government is the most American thing in the world." "And we are patriots." A CEO just went on national television and told the President of the United States: You can blacklist us. You can call us names. You can threaten our business through tweets. But we will not build machines that spy on Americans or kill without human hands.
StockMarket.News@_Investinq

The Pentagon just blacklisted one of America’s most valuable AI companies. For refusing to build surveillance tools aimed at American citizens. Hours later, its biggest rival OpenAI quietly signed the deal of the decade. Here’s what just happened and why it changes everything. This week, the US Department of War gave Anthropic an ultimatum. Drop your safety restrictions and let us use your AI for anything we want. The deadline was 5:01 PM today and Anthropic said no. Their CEO, Dario Amodei, drew two red lines. No mass surveillance of Americans. No fully autonomous weapons without a human pulling the trigger. The Pentagon called this “woke AI.” Anthropic called it a conscience. The Pentagon’s response was swift and brutal. Defense Secretary Pete Hegseth branded Anthropic a “supply chain risk”, a designation normally reserved for Chinese and Russian companies. President Trump ordered every federal agency to stop using Anthropic immediately. But here’s where the story turns. That same night, Sam Altman, CEO of OpenAI, Anthropic’s biggest competitor posted a message. “Tonight, we reached an agreement with the Department of War to deploy our models in their classified network.” The twist? OpenAI’s deal includes the exact same red lines Anthropic was just destroyed for demanding. No mass surveillance and no autonomous weapons. Human control over the use of force. The Pentagon punished one company for demanding protections it then gave to another company the same day. Altman even defended Anthropic on live television hours earlier. “For all the differences I have with Anthropic, I mostly trust them as a company and I think they really do care about safety.” Then he signed the deal Anthropic couldn’t get. Anthropic was the first and only, AI model deployed on the Pentagon’s classified networks. Replacing it will take months. OpenAI just positioned itself to fill the most powerful AI vacancy in the U.S. military. The stakes are staggering. Anthropic just raised $30 billion and it was preparing for an IPO. Now over 300,000 enterprise clients may be forced to cut ties. Not because the technology failed. Because the company refused to remove a guardrail that said “don’t spy on Americans.” But here’s the real question no one’s asking: If the Pentagon never intended to use AI for mass surveillance as they claim, why was this the hill they chose to die on? Why blacklist a $380 billion American company over a clause the government says doesn’t even matter? Sam Altman called for de-escalation. He asked the Pentagon to offer these same terms to every AI company. Including Anthropic. The world just watched a company get punished for saying “no” to surveillance and a competitor rewarded for saying “yes, but with the same conditions.” Bookmark and share this.

English
336
6.2K
15.9K
1M
Bleacher Report
Bleacher Report@BleacherReport·
MAVS WIN THE NO. 1 PICK IN THE 2025 NBA DRAFT 🔥 COOPER FLAGG, AD & KYRIE 🔜? 🤯🍿
Bleacher Report tweet media
English
2.3K
5.4K
62.7K
5.9M
Samar B.
Samar B.@samar·
12/12 Tagging Bay Area media who’ve ignored this: @sfchronicle @EastBayTimes @KQEDnews @DOGE If the costs pencil out under daylight, I’ll buy the first round at @Gilman_Brewing . If they don’t, maybe we stop writing blank checks for “that’s just the Bay.”
Berkeley, CA 🇺🇸 English
0
0
0
176
Samar B.
Samar B.@samar·
11/12 Alameda's Measure BB sales tax kicked in $25 M; statewide STIP picked up ≈ $50 M. So whether you live in Berkeley or Chico, you paid for this. If we shrug at $100 M, every future bid from Richmond or Fresno will cite it as the new normal. Transparency today saves dollars tomorrow.
Berkeley, CA 🇺🇸 English
1
0
0
274
Samar B.
Samar B.@samar·
9/12 That $35M could fund: 60 affordable housing units (different issue altogether) 28,000 Muni passes for low-income riders But sure, let’s prioritize $30M footbridges.
Berkeley, CA 🇺🇸 English
1
0
0
407
Samar B.
Samar B.@samar·
8/12 On Reddit, defenders swarmed: “That’s just Bay Area costs!” Meanwhile, San Pablo’s 2017 interchange upgrade (same Caltrans district) cost $42M. Same district, similar mud. SR-84/I-880 in Newark w/3 flyovers for $70 M. Adjusted for inflation, Gilman should be $65M.
Berkeley, CA 🇺🇸 English
1
0
1
120
Samar B.
Samar B.@samar·
1/12 Ever wondered what 2 traffic circles + a bike bridge cost in SF bay area? Reddit mods NUKED my post breaking down Berkeley's $100M traffic circles after 500+ upvotes. A swarm of “public works experts” are burying the new post Here's what they don't want you to see... tinyurl.com/4t3uzmpf #TaxpayerWaste #FollowTheMoney
Berkeley, CA 🇺🇸 English
2
0
1
557
Samar B.
Samar B.@samar·
7/12 Extras nobody mentions: • PG&E invoiced $4.8 M to shift lines THEY'D ALREADY MARKED OBSOLETE • Union Pacific booked $1.2 M in “track-access fees” while crews worked 50 ft away • Golden Gate Fields got $2.3 M for a sliver of parking lot No negotiation possible.
Berkeley, CA 🇺🇸 English
1
0
0
106
Samar B.
Samar B.@samar·
6/12 I get wages are high here, but these will blow your mind: • Equipment operators $97.65/hr base (4.4× ntl mean of $27/hr for the same job) • Night work: $129.73/hr. • A flagger costs $3,024 for a 24hr shift. (That's $126/hr to hold a sign.) Multiply that by 1,100 days!
Berkeley, CA 🇺🇸 English
1
0
0
92
Samar B.
Samar B.@samar·
5/12 Comps for the "architect-grade" bike bridge: • 430-ft Blumenauer Bridge, Portland (’22) $14 M • 300-ft North Atwater, LA (’20) $16 M • 415-ft Gilman span ≈ $30 M Same coast, same seismic regs—double the price tag? @heatherknight @philmatier
Samar B. tweet media
Berkeley, CA 🇺🇸 English
2
0
0
81
Samar B.
Samar B.@samar·
4/12 The roundabouts alone: $25.2M. For comparison: Clark County built one for $1.7M. Portland's double-lane circle with bike lanes cost $5.4M. Even after TRIPLING for Bay Area costs, we're paying at least 5× more. Numbers don't lie.
Samar B. tweet media
Berkeley, CA 🇺🇸 English
1
0
0
69
Samar B.
Samar B.@samar·
3/12 Caltrans labels $80 M of that “construction.” Dig one layer deeper and $11.2 M (14 %) is Caltrans’ OWN INSPECTORS. That's right-14 cents of every dollar to bureaucrats. Their own manual says 8-10 % is typical CE. @sfchronicle @berkeleyside
Samar B. tweet media
Berkeley, CA 🇺🇸 English
1
0
0
55
Samar B.
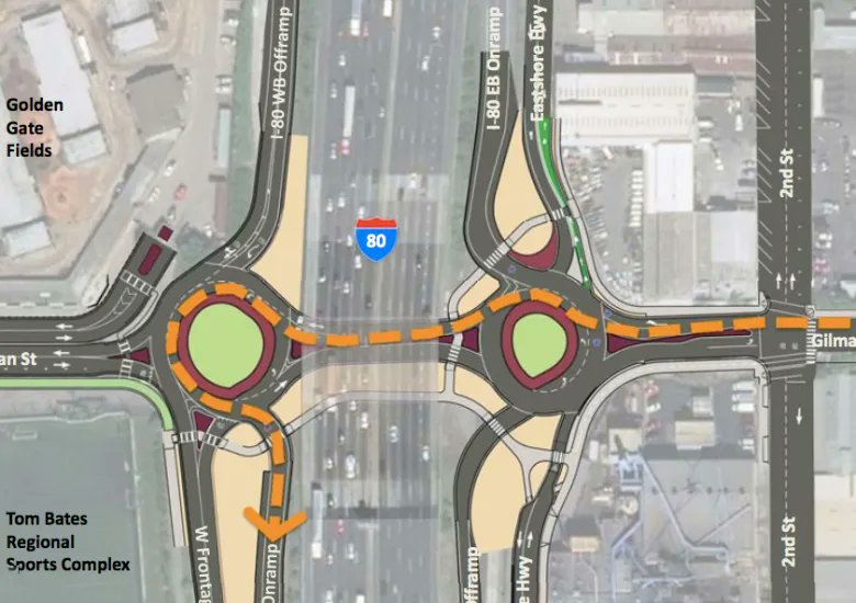
Samar B.@samar·
2/12 I've dodged the horrific intersection at Gilman/I-80 for years! Yes, fixes were needed. But $100 MILLION for 2 roundabouts and 1 footbridge? FYI, Berkeley’s entire city-wide paving budget is < $30 M/yr Here's the receipts...
Samar B. tweet media
Berkeley, CA 🇺🇸 English
1
0
0
65
Samar B. أُعيد تغريده
Paul Graham
Paul Graham@paulg·
I tried asking ChatGPT and here's what it said:
Paul Graham tweet media
English
373
326
3.7K
351.7K
Samar B. أُعيد تغريده
Matthew Carrigan
Matthew Carrigan@carrigmat·
Complete hardware + software setup for running Deepseek-R1 locally. The actual model, no distillations, and Q8 quantization for full quality. Total cost, $6,000. All download and part links below:
English
714
3.5K
27.7K
5.5M
Samar B. أُعيد تغريده
bone
bone@boneGPT·
DEVELOPING: Chinese entrepreneur boasts receipt of 200 NVIDIA H200 GPUs in Beijing despite US export ban, explains how he circumvents export ban 🧵
English
135
507
2.3K
910.5K
Samar B.
Samar B.@samar·
Awesome summary of why deepseek is a big deal!
English
0
0
0
165
Samar B. أُعيد تغريده
Jos Quinten
Jos Quinten@TaranQ·
🇨🇳🇺🇸 These AI models from China are amazing! - Gianluca Mauro #OpenAI #Deepseek
Italiano
75
905
5.2K
598.8K