Sursystem
619 posts

Sursystem
@Sursystem
Cofradía #Sursystem / Komunicación Alternativa / Resistencia Cultural /////// Colectivo #SatéliteSursystem. Libro Vol.4: Améfrika Afrérika Soundsystem
Cali, Colombia Katılım Ekim 2017
67 Takip Edilen173 Takipçiler

A un año del 21N: “Duque ni negocia, ni dialoga”. La pandemia frenó la avalancha de movilización social que enfrentaba este Gobierno. Aunque en las calles no habrá multitudes, las demandas en lugar de caducar, crecen. cerosetenta.uniandes.edu.co/a-un-ano-del-2…
Español

AMÉFRIKA AFRÉRIKA SOUND SYSTEM, LA EXPO AFRICANA QUE LLEGA A DR. MARTENS > bizarromesa.com/expo-africana-…
Sursystem retweetledi
Sursystem retweetledi
Sursystem retweetledi
Sursystem retweetledi

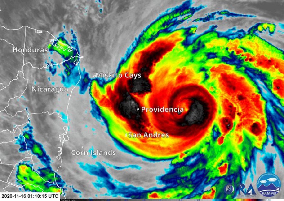
Compartir también ayuda, así hacemos que el mensaje llegue a muchas más personas #ElChocóTeNecesita #SanAndresNecesita
Sursystem@Sursystem
Español
Sursystem retweetledi

49dias #27AñosLey70
Si los 19B fueran reales diríamos q antender las emergencias en Chocó y San Andres Islas, es nuestra prioridad como Pueblo. Lo dice el convenio 169. Pero los 19B son transversales, es decir, una treta.
@IvanDuque cumplir acuerdos de Consulta es obligatorio.

Español
Sursystem retweetledi

#LasVidasNegrasImportan
Porque guardan silencio sobre esta situación tan lamentable que padece el Chocó?
Presidente @IvanDuque así como fue a dar la noticia sobre los guerrilleros del ELN dados de baja, ahora vaya atienda la crisis humanitaria que están viviendo estos pueblos.




Español

#Soundsystem fanzinero nocturno a partir de las 7pm el sábado 14 de noviembre a través de #FBLive @graficamestiza. Artistas invitados: Marcelo Argenta / La Digna Rabia (Brasil), Cafeto / Portoalegre. Radio Experimental: Deejay Mundo / Planeta Local, Maelkum Marley.

Español
























