Memphis Garrity_Wx retweetledi

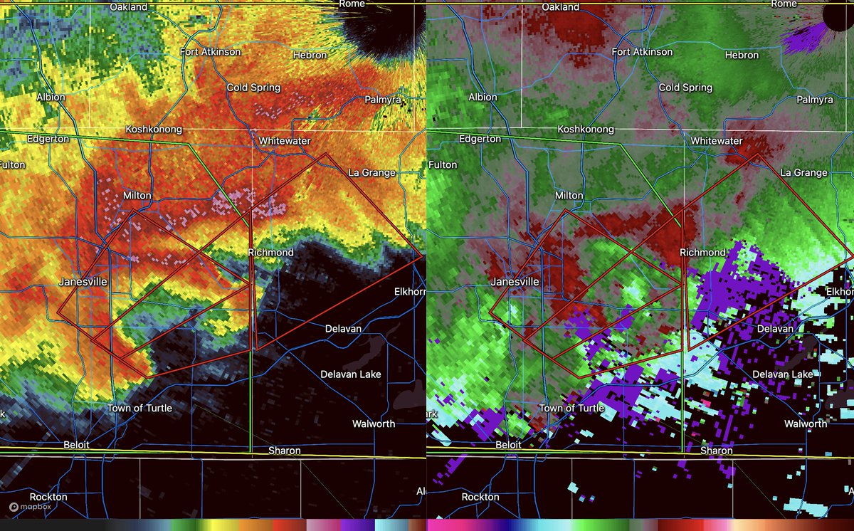
IN A TORNADO: FOX Weather Exclusive Storm Tracker Brandon Copic is on the move tracking severe storms in the Midwest. He got caught in a tornado in progress in Illinois, watching debris fly and trees fall directly in front of him. Stay with FOX Weather as we continue to track the latest severe weather:
English

























