Backpirch Weather
12.8K posts

Backpirch Weather
@BackpirchCrew
We provide advanced analysis and live coverage of tropical cyclones worldwide. Follow for hourly updates.





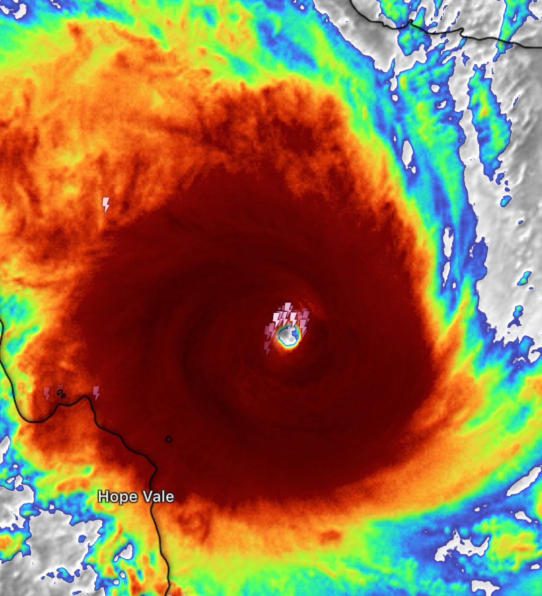
With peak sustained winds of 145 MPH (230 kph) and a minimum pressure of 926 MBAR, Cyclone Narelle has surpassed Cyclone Horacio as Earth’s MOST INTENSE storm of 2026 thus far.



Extremely high-definition satellite imagery shows the dreaded rippling-effect of the convection around Cyclone Narelle’s ravenous inner eyewall. That is the product of deeply icy thunderstorms, with cloud tops as incredibly cold as -140 F (-95 C), rotating faster and faster as the eye pressure rapidly caves inward. Vortical hot towers and lightning bursts have been firing all day today within the core. Heed all orders and advice from local officials if you are in the far north of Queensland, Australia. This is a very intense storm churning your way. (Sat-image credit: SSEC/CIMSS)





What do we have here.


