Sabitlenmiş Tweet

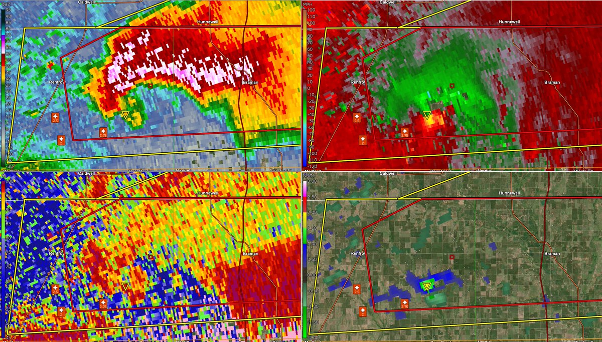
Really cool looking tornado warned supercell over Escalon, CA. You can clearly see the inflow region, the updraft and wall cloud, and a strong HP RFD. #severeweather #severe #weather #tornado #california #caliweather #thunderstorm #hail #severewind #weatherphotography


English



































