Dave Lewison

311 posts

Dave Lewison

Dave Lewison

@facethewind_com

I'm a Mechanical Engineer, and an avid photographer & storm chaser. Every year I travel to Tornado Alley to film the most violent winds on Earth.

Poughkeepsie, NY Katılım Ocak 2011
62 Takip Edilen3.4K Takipçiler
Collin Gross
Collin Gross@CollinGrossWx·
Those rain bands really packed a punch today! In Manasquan, New Jersey. #NJwx #Ophelia
English
5
18
83
12.6K
Dave Lewison
Dave Lewison@facethewind_com·
Ok, my first gripe with Amazon. I realize that prices & availability change frequently, but once a customer places an item in their cart and proceeds with the checkout process, the price & availability should be... facebook.com/dave.lewison/p…
English
2
0
1
0
Dave Lewison
Dave Lewison@facethewind_com·
Ok, one more plug, for any stragglers who may have missed it. If you're a storm chaser, please take a moment to fill out my survey about your chasing experiences, to be used in my talk at the Denver Chaser Convention. Thanks!!!... facethewind.com/storm-chasing-…
English
0
0
1
0
Dave Lewison
Dave Lewison@facethewind_com·
Here's some video from today's lake effect snow chase. I'm guessing around 2-3 feet accumulations in this area, and we left mid afternoon...the snow is still falling there! youtu.be/_J4K6E-SIWs youtu.be/_J4K6E-SIWs
YouTube video
YouTube
English
0
1
2
0
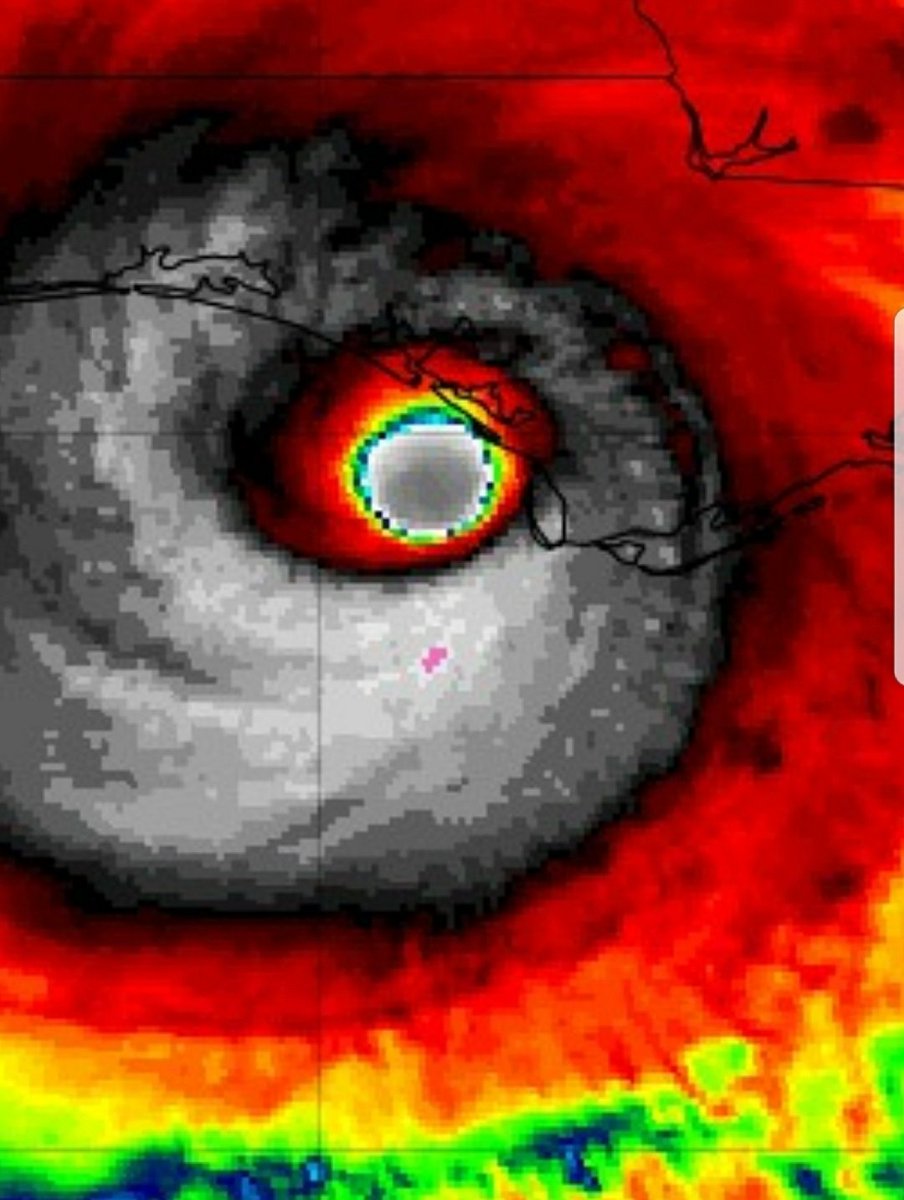
Simon Brewer
Simon Brewer@SimonStormRider·
#1 Hurricane Michael October 10th: data shows a CAT 5 storm with 158+ max sustained winds & 916-919mb min pressure @JustonStrmRider & I documented the catastrophic right eyewall in Mexico Beach FL
Simon Brewer tweet mediaSimon Brewer tweet mediaSimon Brewer tweet mediaSimon Brewer tweet media
English
10
14
51
0
Dave Lewison
Dave Lewison@facethewind_com·
Some of my video of the damage & cleanup efforts in Fishkill NY this morning. They were hit by an intense microburst associated with a bow echo yesterday. Most of the town is without power and trees are down everywhere along I-84.... youtube.com/watch?v=dqAFeg…
YouTube video
YouTube
English
0
1
4
0
Dave Lewison
Dave Lewison@facethewind_com·
A timelapse of about 4hrs of work this past weekend, getting Scott's XTerra outfitted with hail guards in preparation for the annual storm chasing trip...scheduled to depart with the next favorable pattern (if there is one!) facebook.com/dave.lewison/v…
English
1
0
2
0
Dave Lewison
Dave Lewison@facethewind_com·
You wouldn't know it from the media, but places outside of eastern MA actually got messed up by this Nor'Easter... fb.me/7jBXh85wo
English
0
0
1
0
Dave Lewison
Dave Lewison@facethewind_com·
And there you have it: Camo-Tweed.
English
0
0
0
0
Dave Lewison
Dave Lewison@facethewind_com·
Been thinking of this project since December, and I finally got the time to finish it. It's a 2017 year in video... fb.me/2s8LsRE0y
English
0
0
2
0
Dave Lewison
Dave Lewison@facethewind_com·
Here's a good NYT article about the Repair Cafes that I've been a part of. I didn't realize that the Hudson... fb.me/71p3rT9GC
English
0
0
0
0
Dave Lewison
Dave Lewison@facethewind_com·
I'm nominating myself for this "B&W Photo Thing" I see others posting on FB. And my choice is actually a full... fb.me/SP35Myig
English
0
0
0
0
Dave Lewison
Dave Lewison@facethewind_com·
Hanging out in Sarasota FL, waiting on Hurricane Irma. Plenty of roads & lots of solid infrastructure. And given... fb.me/y6KB7LwD
English
0
0
1
0
Dave Lewison
Dave Lewison@facethewind_com·
12 years ago today, I had a life-changing experience. Last week's Hurricane Harvey's landfall was bad, but it... fb.me/9gCBEVhjM
English
0
0
1
0
Dave Lewison
Dave Lewison@facethewind_com·
Jason Persoff & I pulled off the perfect intercept today. We planned a route from Ft. Morgan CO to near the NE/WY... fb.me/3RpdS60mP
English
0
0
2
0
Dave Lewison
Dave Lewison@facethewind_com·
Here's some video from today's thunderstorm downburst at my house. The anemometer on the shed measured a 48mph... fb.me/uI2RCJMm
English
0
1
3
0