Sabitlenmiş Tweet

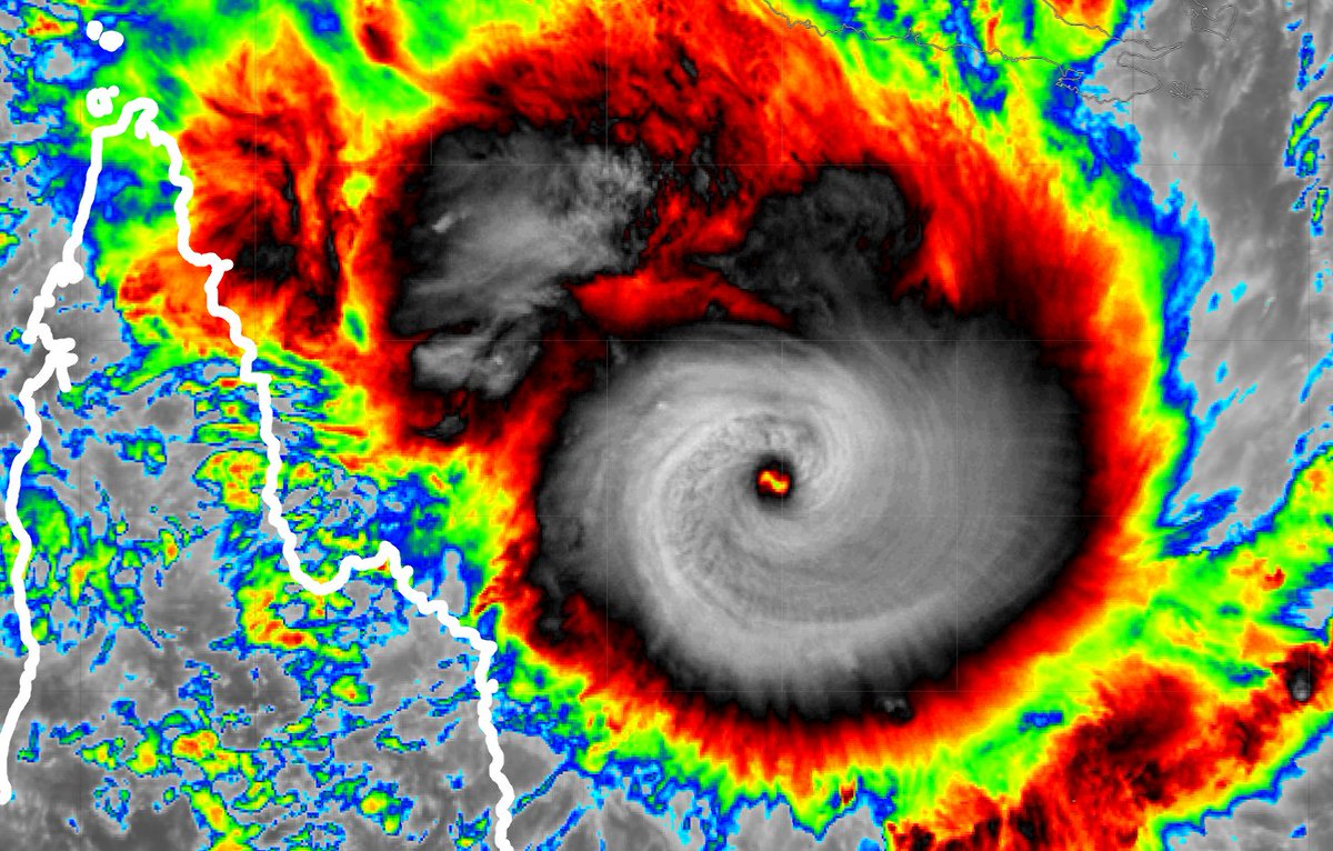
ICYMI: Behold mighty #MELISSA in #Jamaica. High-end Category 5. Possibly the most intense #hurricane to make landfall in North America. And the fiercest of all the hurricanes I've witnessed. WATCH: youtu.be/siq-DdmBUIY

YouTube

English















