Project Vortex Breakdown
24 posts

Project Vortex Breakdown
@project_Vorb
Project Vortex Breakdown specializes in radar, damage, and environmental analysis of historic severe weather events.
Katılım Nisan 2026
83 Takip Edilen56 Takipçiler

Reflectivity, velocity, and CC views of the tornado



Project Vortex Breakdown@project_Vorb
Just some extraordinary ground scarring from the 3/25/2021 Moundsville, AL EF-3.
English
Project Vortex Breakdown retweetledi


@Andywx_ im going to import more terminals into GR2 soon, once I do ill recheck all of these
English

@project_Vorb Couldn't you check from another site a little closer or was it down
English

@project_Vorb Is this the "No, there's barely any rotation" tornado?
English

Found some very intense ground scarring from this tornado. This tornado had a max width of around 100 yds.


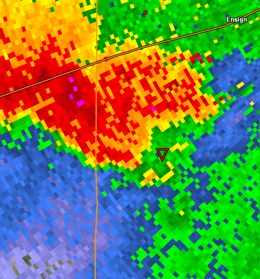
Project Vortex Breakdown@project_Vorb
A very interesting case here. This was a mid-end EF-2 tornado that occurred during the night of March 13, 2021, close to where I live. This storm occurred during the nighttime hours and temperatures were around 50 degrees.
English
Project Vortex Breakdown retweetledi

@OriginWx Should and could have been rated EF4 by the way, ~170 mph.
• well–built MBS swept clean
• solid connections for said MBS
• lower–end tree lofting
• mangled vehicles
And, if we’re using NWS Grand Fork’s logic, the two swept unattached homes would be good for low EF4 as well.




English

























