James

1.1K posts

James banner
James

James

@Mernusea

Graduate Student

Katılım Temmuz 2010
20 Takip Edilen15 Takipçiler
James
James@Mernusea·
@iCyclone @KeviShader I am reminded somewhat of Katrina. Bombed out over open water, steadily weakened, then a last second ERC really killed the inner core while leaving a super low pressure.
English
1
0
0
60
KeviShader
KeviShader@KeviShader·
While the AWS on Saipan has not reported any pressure data in a few hours, a Davis Vantage Pro 2 station on Saipan is still reporting data (wunderground.com/dashboard/pws/…). The station is currently reporting 937mb but seems to be running ~13mb too high compared to the AWS 8mi to its SW.
KeviShader tweet media
English
2
2
35
2K
James
James@Mernusea·
@meulenbeld_rick @iCyclone There’s this one. Hopefully only the live pressure data is out at the airport and there’s still a record. x.com/kevishader/sta…
KeviShader@KeviShader

While the AWS on Saipan has not reported any pressure data in a few hours, a Davis Vantage Pro 2 station on Saipan is still reporting data (wunderground.com/dashboard/pws/…). The station is currently reporting 937mb but seems to be running ~13mb too high compared to the AWS 8mi to its SW.

English
0
0
1
37
Rick Meulenbeld
Rick Meulenbeld@meulenbeld_rick·
@Mernusea @iCyclone Ah that sucks, I was just about to ask what it was reading. You'd think they would have installed a few backups. Especially since it's a military base so barometers enough. Hopefully they did and we get that data some time.
English
1
0
0
89
Josh Morgerman
Josh Morgerman@iCyclone·
Radar images suggest inner eyewall of #Typhoon #SINLAKU has dissipated, leaving very large eye that's now passing over Tinian & Saipan (pink). A little while ago, SPN had 71 knots gusting to 113, but winds have since eased a bit. STAY INDOORS WHILE THE EYE PASSES.
Josh Morgerman tweet media
English
4
4
80
7.2K
James
James@Mernusea·
@iCyclone @Louisianafotos Ah, there’s is comparing against the 5 minute averaged winds the station actually recorded.
English
1
0
0
24
Josh Morgerman
Josh Morgerman@iCyclone·
#Typhoon #SINLAKU is near Tinian & Saipan. It's majorly restructuring: inner eyewall is collapsing as outer eyewall becomes dominant. Result of this eyewall replacement cycle (ERC) will be larger eye & weaker winds. Outer eyewall currently raking SPN w/ 68 knots gusting to 100.
Josh Morgerman tweet media
English
2
5
79
9.5K
James
James@Mernusea·
@iCyclone @Louisianafotos connectsci.au/es/article/62/… Here’s the paper detailing the documentation of the gust. The gust factor was even higher at other points, peaked at 2.75. They don’t get too much into the details of how the gust occurred, except that it was likely mesovertex related.
English
1
0
0
40
Josh Morgerman
Josh Morgerman@iCyclone·
@Louisianafotos Or it just had a high gust factor. You might want to research the satellite data and also the complete wind data from Barrow Island before simply deciding the best track is wrong. Professionals who know more than you or I settled on these values for a reason.
English
2
0
1
52
James
James@Mernusea·
@iCyclone Feels like it’s been doing that off and on all day, gets that classic ERC look and then holds out. I’m not sure what scenario is better for the islands at this point.
English
1
0
0
394
Josh Morgerman
Josh Morgerman@iCyclone·
Radar shows Super #Typhoon #SINLAKU—still Cat 5—approaching Tinian & Saipan (pink). System is attempting an eyewall replacement cycle (ERC). See how innermost ring is detaching from rest of cyclone, with clean moat developing around it? That's how you know. If process continues, inner ring will collapse, & the outer ring will become new, dominant eyewall. When that happens, the max winds will weaken a bit, but typhoon's core will grow much larger.
Josh Morgerman tweet media
English
6
19
181
11.2K
James
James@Mernusea·
@iCyclone Best track update put the peak earlier as 160 kt/890 mbar. (Yes I know exclusively from satellite estimates, no ground truth, caveats apply etc)
English
1
0
1
172
Josh Morgerman
Josh Morgerman@iCyclone·
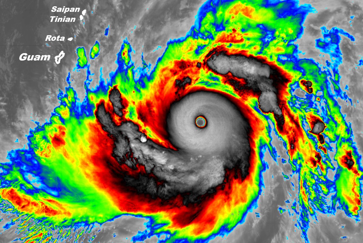
Morning light reveals Super #Typhoon #SINLAKU. Estimated intensity: a whopping 155 knots. Satellite presentation: SPECTACULAR. It'll approach Tinian (pop. ~2K) & Saipan (pop. ~43K) (yellow) tomorrow, making a potential direct hit. COMPLETE PREPARATIONS TODAY, BEFORE DARK.
Josh Morgerman tweet media
English
8
24
194
11.5K
James
James@Mernusea·
@iCyclone Hope they have some barometers.
English
0
0
0
403
Josh Morgerman
Josh Morgerman@iCyclone·
Behold Super #Typhoon #SINLAKU eyeing Mariana Islands with menacing curiosity. Winds are estimated at 130 knots (high-end Cat 4), but latest imagery suggest they're higher. Computer models suggest Guam should escape worst, whereas Saipan & Tinian could get direct hit Tuesday.
Josh Morgerman tweet media
English
8
36
243
16.7K
James
James@Mernusea·
@iCyclone Aw man, can’t believe you left out that hilarious comment about art classes from the FB version. Too highbrow for the Tweeter crowd?
English
0
0
0
105
Josh Morgerman
Josh Morgerman@iCyclone·
This is JTWC's forecast track for #Cyclone #MAILA in Solomon Sea. BOM's is similar. Both show it sitting there for days. So, I won't be giving many updates on it—not until it gets off its butt & *does* something (or the computer models develop a coherent plot).
Josh Morgerman tweet media
English
6
11
135
9.7K
James
James@Mernusea·
@Louisianafotos Thanks for the recipe, guy from Josh’s twitter replies, made it today. Used sablefish and shrimp, very tasty.
English
1
0
1
22
Josh Morgerman
Josh Morgerman@iCyclone·
Had to buy heavy whipping cream for a Cajun dish. The leftover cream is a dangerous drug. Just a spoonful sends me into a sort of rapture. And when I'm blue I might find myself wandering into the kitchen for a dose. One of the most exquisite things God has put on this earth.
English
19
3
261
23.7K
James
James@Mernusea·
@iCyclone How’d it go? Good audience? Any hecklers asking when the Erick video is coming out?
English
0
0
0
37
James
James@Mernusea·
@iCyclone Beautiful day for a swim, just gotta wade out a few miles for the water to be deep enough.
English
0
0
0
67
Josh Morgerman
Josh Morgerman@iCyclone·
Hey from Biloxi #Mississippi. Spectacular afternoon. The Gulf sparkling & brilliant.
Josh Morgerman tweet media
English
11
1
273
9.7K
James
James@Mernusea·
@iCyclone They just gusted to 101, getting bad fast.
English
0
0
1
94
Josh Morgerman
Josh Morgerman@iCyclone·
Large eye of #Cyclone #NARELLE (Cat 4 Oz/Cat 3 US) is nearing North West Cape. Exmouth is well inside eyewall & getting raked. Learmonth, a little further S, is now reporting 66 knots gusting to 83—& that will no doubt increase as inner eyewall swallows this location. #Australia
Josh Morgerman tweet media
English
2
12
104
6.6K
Josh Morgerman
Josh Morgerman@iCyclone·
Tracks of all known Category-5 #hurricane landfalls in North America, updated to include #MELISSA in #Jamaica. This only includes storms that were Cat 5 at *landfall* (meaning when center crossed coast). Labor Day 1935, DORIAN 2019, & MELISSA 2025 are in 3-way tie for strongest.
Josh Morgerman tweet media
English
17
63
410
27.3K
James
James@Mernusea·
@FerragamoWx Will this exclude cases such as Nicole (2022) where the system made landfall as a hurricane but hurricane-force winds remained offshore?
English
1
0
0
99
Michael Ferragamo
Michael Ferragamo@FerragamoWx·
Some exciting news! I've decided that for my capstone project, I will be focusing on U.S. hurricane return periods per coastal county! In addition, expanding and revising my previous map. Instead of displaying only landfalls (like my previous map, where the center passes overhead), this NEW map will feature return periods of hurricane-force winds per coastal U.S. county. Should allow for a smoother, physically accurate map!
Michael Ferragamo@FerragamoWx

The average hurricane return period of every coastal US county since our dataset began in 1851. These are just averages, but this map does a good job showing the frequently hit vs. hardly hit.

English
3
5
65
4.3K
James
James@Mernusea·
@EarthUncutTV @iCyclone I’m looking at the higher radar angles and the core looks to have passed a decent bit south of the area. I think there’s too much crud in the way to get a good look at the standard tilt.
English
0
0
0
84
James Reynolds
James Reynolds@EarthUncutTV·
@iCyclone The whole radar presentation is pretty weird - I wish the link to original BoM radar were working (that site is a bloody mess)
English
3
0
8
820
Josh Morgerman
Josh Morgerman@iCyclone·
9 am. Radar suggests #Cyclone #NARELLE has taken an unexpected wobble to the N—unfortunate because it brings the cyclone’s intense inner core right over Lockhart River (pop. ~640). They’re no doubt getting raked right now. If you’re in that town and reading this, REMAIN INDOORS.
Josh Morgerman tweet media
English
4
10
122
11.8K
James
James@Mernusea·
@iCyclone I wondered why people were asking about this and then I saw the clip. Good grief.
English
0
0
1
26
James
James@Mernusea·
@iCyclone Still the highest gust from a hurricane anywhere in the western hemisphere, though Otis was close (178 kt).
English
1
0
4
410
Josh Morgerman
Josh Morgerman@iCyclone·
Since folks keep asking: #Cuba is extremely #hurricane-prone. Just since 2000, they've had 16 'canes, including rare Cat 5 (IRMA2017) & five Cat 4s. In GUSTAV2008, Cuba measured sustained 135 knots with gust to 184—one of highest official wind readings ever recorded in a 'cane.
English
11
20
248
20.6K