WMiguelX

1.1K posts

WMiguelX banner
WMiguelX

WMiguelX

@WeatherCyclo

Tracking GFS & ECMWF trends. Tropical cyclone dynamics and mesoanalysis enthusiast. | Linkin Park 🤘

What Katılım Ekim 2024
566 Takip Edilen49 Takipçiler
WMiguelX retweetledi
Matthew Cappucci
Matthew Cappucci@MatthewCappucci·
Thank you all. شكراً لكم جميعاً. 🤍
Matthew Cappucci tweet media
95
45
965
73.5K
WMiguelX retweetledi
Backpirch Weather
Backpirch Weather@BackpirchCrew·
Incredible satellite imagery from the Southern Hemisphere this morning as Cyclone Narelle now reaches 125 MPH in strength. The storm’s 45 mile-wide eye has deepened below 955 mbar and a hive of mesovortices can be seen spiraling around the eyewall. An absolute Australian titan.
English
3
19
109
4.5K
WMiguelX retweetledi
Noah Bergren
Noah Bergren@NbergWX·
Cyclone #Narelle is back to being a major tropical system off the NW coast of Australia. Going to be one of the strongest storms to hit this part of Australia on record late Thursday. Remember, things rotate opposite south of the equator and generally the left-front quadrant is the worst unlike hurricanes in the northern hemisphere.
GIF
English
0
11
43
2K
WMiguelX
WMiguelX@WeatherCyclo·
Cyclone NARELLE is looking impressive in these last hours, with a well-defined eye (as you can see on the radar) It is predicted that you may have additional intensification. Areas in the path should be prepared or should already be prepared
WMiguelX tweet mediaWMiguelX tweet mediaWMiguelX tweet media
English
0
0
1
62
WMiguelX
WMiguelX@WeatherCyclo·
This is utterly absurd, I literally can't believe that a government account is saying that a Harvard-graded meteorologist is spewing false information. Matthew is an accurate meteorologist and the best thing you can do is follow him
العربية السعودية@AlArabiya_KSA

تحذيرات رسمية من حسابات وتطبيقات مشبوهة تقدم معلومات مغلوطة حول حالة جوية عنيفة في #السعودية و #دول_الخليج

English
1
0
3
1.1K
WMiguelX retweetledi
CIRA
CIRA@CIRA_CSU·
Tropical Cyclone Narelle looks impressive at night as it continues to intensify, gearing up for another landfall in Western Australia.
English
1
19
64
2.5K
WMiguelX
WMiguelX@WeatherCyclo·
@JailbreakMeiPod Yes, but I think that the interaction with land from today could limit it a little
English
0
0
0
16
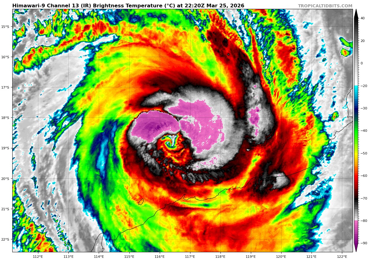
WMiguelX
WMiguelX@WeatherCyclo·
NARELLE has intensified to a severe Category 4 cyclone and a Category 5 cyclone is forecast (I don't think it will reach Category 5). Even if it does not reach category 5, the risk to life is still very high if it is there, especially flooding due to rain.
WMiguelX tweet mediaWMiguelX tweet media
English
1
1
1
109
Matthew Cappucci
Matthew Cappucci@MatthewCappucci·
French fries fix everything. I will answer inquiries after fries.
Matthew Cappucci tweet media
English
71
13
518
59.4K
Meteorología RD 𝕏 🇩🇴 ☔️⛈️
Mañana Jueves: Una nueva vaguada en altura (TUTT) se estará desarrollando sobre el oriente cubano , mientras su área divergente caerá sobre RD/PR desde mañana y por varios días más... El pronóstico de lluvia para mañana indica una alta probabilidad de lluvias y tormentas... 1/
Meteorología RD 𝕏 🇩🇴 ☔️⛈️ tweet mediaMeteorología RD 𝕏 🇩🇴 ☔️⛈️ tweet mediaMeteorología RD 𝕏 🇩🇴 ☔️⛈️ tweet mediaMeteorología RD 𝕏 🇩🇴 ☔️⛈️ tweet media
Español
4
9
41
2.1K
WMiguelX retweetledi
Matthew Cappucci
Matthew Cappucci@MatthewCappucci·
All I wanted was to live, laugh, lapse rates. 🥲
English
68
18
459
125.2K
CollinsWx ❄️
CollinsWx ❄️@Collins_Wx·
A bit of plane spotting on this fine Wednesday afternoon here in Lexington, KY!
CollinsWx ❄️ tweet mediaCollinsWx ❄️ tweet mediaCollinsWx ❄️ tweet mediaCollinsWx ❄️ tweet media
English
4
1
28
8.8K
WMiguelX
WMiguelX@WeatherCyclo·
Crazy
WMiguelX tweet media
English
0
0
0
28