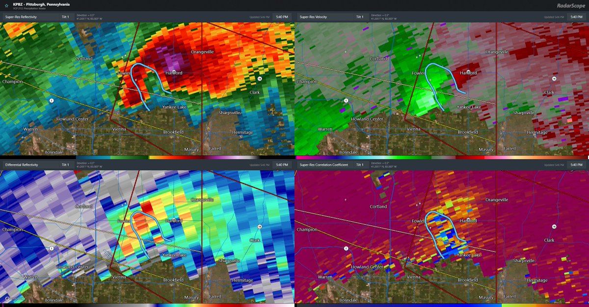
Sabitlenmiş Tweet

I Have Officially Joined the Outbreak Weather Team. My Role is a Graphic Designer. The Discord Server Link is here discord.gg/8QjzNFzp. YouTube - @outbreakweatherr?si=mmN7fih9Pmm38n5h" target="_blank" rel="nofollow noopener">youtube.com/@outbreakweath…
English




























